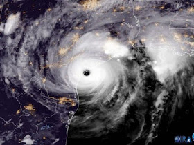
Hurricane Harvey has pounded the Texas coast bringing flooding, destruction, injury and death to the Lone Star State. Houston was badly hit, with widespread flooding that looks set to increase in severity this week.
Houston has not removed its Confederate statues.
Destruction
New Orleans, by contrast, has taken down its Confederate statues and has so far been spared the fury of the hurricane. According to one meteorlogical expert, this was a matter of "math."
"New Orleans tore their statues down and guess what? No hurricane. You do the math."
Houston's Spirit Of The Confederacy Before The Hurricane
Hurricane Harvey has been downgraded to a tropical storm but is set to deluge southeastern Texas with rain and flooding. The National Weather Service has called the event "unprecedented."
A Typical Confederate Statue
Confederate statues still remain in Houston, albeit submerged for now under the waves of a turbulent and destructive sea.
Divine Judgement Falls Upon The Galleria
Here at the Compound, rain lashes down with primal, intense fury. The Confederate war memorial still stands, resolute, in the town square, facing North East.
Dixie Forever,
LSP





I'm having a very hard time processing what's going on in my old home. When I lived in Houston it was like heaven on earth (at least to me.) There is a huge chunk of my heart that belongs to Houston.
ReplyDeletePrayers for everyone there.
Houston must not have paid the global warming tax. That's the only thing that I can figure. It flooded last year too, but this time it looks even worse.
ReplyDeleteMephistopheles must have extended his claw over Austin to protect those devoted acolytes.
Meanwhile in Old Blighty, I'm getting ready to enjoy beans-on-toast, a fried egg and proper sausages with a dab of hot mustard (it's too early in the morning for that fare in Texas). It's HOT here and there is no rain. The Mantis people are defending the place. What else could it be? People here speak of rain but it's become a myth.
Glad to hear you are all still safe, Parson. God bless.
ReplyDeleteBe safe, Parson!
ReplyDelete